Yerde Ölü Bir Kurt Gördü – Yakınlaşıp Ayağına Bakınca Hemen Veterinere Koştu

Kurt yaralı halde yerde yatıyordu. Araba çarpmıştı ve ayağa kalkamıyordu. Muhtemelen orada tek başına öleceğini düşünüyordu. Çünkü hiçbir kurt kırık bir ayakla vahşi yaşamda sağ kalamazdı.
Birden sesler duydu. Yanına insanlar geliyordu.
Başta korktu. İnsanların hayatını kurtaracağından habersizdi.
Arap kurtları İsrail, Yemen, Ürdün ve Suudi Arabistan’da küçük sürüler halinde yaşarlar. Amerika ve Avrupa’daki türdeşleriyle karşılaştırıldıklarında daha çok köpeklere benzerler. Çiftlikteki hayvanlarla beslendiklerinden çiftçiler onları hiç sevmez.
İsrail’deki küçük bir kasaba yolunda dikkatsiz sürücü kurda çarptı ve kaçtı.
Bacağı kırılan kurt zorlukla yolun kenarına kadar sürüklenmeyi başardı. Bu halde hayatta kalması imkansızdı. Neyse ki onu bir hayvansever farketti ve derhal veterinere götürdü.
Burada ona Oliel ismi verildi.

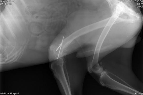
Köpeğin ayağının kırıldığı anlaşılınca hemen operasyona alındı.
Operasyon başarılı geçse de iyileşmesi için önünde uzun bir süreç vardı.
İyileşme sürecinde kurdu bir hayvan barınağında tuttular. Burası onun hiç de alışık olmadığı bir ortamdı.
Dört ayın ardından Oliel’in doğaya geri salınacak kadar güçlü olduğu anlaşıldı.
Birden kafesi açıldı. Zavallı Oliel neler olup bittiğinin farkında değildi. Yakında özgür olacağından habersizdi.
Oliel’in kolaylıkla adapte olabileceği bir nokta belirlendi ve buraya salınması kararlaştırıldı. Kafesi açılırken hayvan tedirgin bir şekilde bekledi. Dört ay kafeste kaldığından dolayı özgür olmasına başta inanamadı.
Bir anda cesaretini topladı ve kafesten çıktı.
Etrafındaki hiçbir şeye aldırış etmeden büyük bir keyifle koşmaya başladı. Ayağı eskisinden daha iyiydi.
Sana iyi şanslar Oliel!
Oliel’in iyileşmesinde emeği geçen herkese teşekkür ediyoruz.
Bütün canlılar yaşamayı hakeder. Hayatında yeni bir sayfa açan kurdun hikâyesini paylaşın.
Henüz yorum yapılmamış.